La AEMET prevé un fin de semana con mínimas más frías, posibles heladas en la Sierra y cielos mayormente despejados en La Almudena
Más de 500 incidencias en Andalucía por las fuertes lluvias
El 112 gestiona emergencias en Sevilla y Huelva, las provincias más afectadas, mientras la Junta mantiene activa la alerta por inundaciones
España propone eliminar el cambio horario en la Unión Europea
El Gobierno defiende que adelantar y atrasar el reloj ya no aporta ahorro energético y perjudica la salud
Madrid alcanzará los 27 °C este miércoles con cielo poco nuboso y posibles lluvias en la Sierra
La Aemet prevé temperaturas estables en toda la región y algunas precipitaciones ligeras por la tarde en zonas altas.
Descienden las temperaturas mínimas en la Comunidad de Madrid al inicio de la semana
La Aemet prevé valores por debajo de los 10 ºC y cielos poco nubosos en la región
Estabilidad en el tiempo para Madrid este viernes con temperaturas de hasta 29ºC
La AEMET prevé cielos poco nubosos y mínimas por encima de los 10 grados en toda la región
Madrid rozará los 30ºC este jueves con cielos despejados
La Aemet prevé un ligero ascenso de las temperaturas y estabilidad en toda la Comunidad de Madrid
Lluvias torrenciales inundan La Safor y La Ribera
Las precipitaciones extremas provocan calles anegadas y daños en complejos residenciales, con Gandia a la cabeza
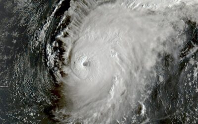
El huracán Gabrielle llegará debilitado como borrasca a la península Ibérica
Aemet prevé lluvias, vientos fuertes y mala mar en el oeste peninsular este fin de semana
Lluvias intensas en Catalunya provocan la muerte de un menor y cortes generalizados
El temporal ha dejado inundaciones, desprendimientos y afectaciones al transporte en varias comarcas











